Xã hội
Giúp trước khi có nạn
Những ngày cuối tháng 9 bão Bualoi gây nhiều thiệt hại ở miền Bắc, miền Trung... Thật đau lòng vì những tai họa đã từng xảy ra lại tiếp tục xảy ra như lũ quét, nước dâng nhanh do mưa lớn...
Gia Lai: Ấm áp “Đêm hội trăng rằm” cho hơn 800 thiếu nhi xã Uar
Nhân dịp Tết Trung thu 2025, Công an xã Uar, tỉnh Gia Lai phối hợp cùng Đoàn thanh niên các thôn, buôn tổ chức nhiều hoạt động ý nghĩa dành cho các em thiếu nhi trên địa bàn.
Dự báo thời tiết 4/10/2025: Miền Bắc nắng mạnh trước khi mưa lớn dồn dập do bão Matmo
Dự báo thời tiết 4/10/2025, bão số 11 Matmo đạt cấp cực đại 13 khi đi qua khu vực bán đảo Lôi Châu (Trung Quốc). Miền Bắc tiếp tục có nắng đến trên 34 độ. Riêng Nam Trung Bộ, cao nguyên Trung Bộ và Nam Bộ mưa to cục bộ.
Ấm áp Trung thu nơi biên giới
Trong không khí rộn ràng của mùa trăng tháng Tám, chương trình “Biên cương – Đêm hội trăng rằm” năm 2025 đã mang đến niềm vui trọn vẹn cho hàng trăm trẻ em xã biên giới Lộc Tấn (tỉnh Đồng Nai).
Người dân doi Mỹ Khánh, Cần Giờ thoát cảnh cúp nước không biết bể ống ở đâu
Nhờ đồng hồ nước thông minh, mọi sự cố cúp nước của người dân doi Mỹ Khánh, Cần Giờ được báo về ngay hệ thống quản lý để đơn vị cấp nước xác định được vị trí sự cố.
TP.HCM rà soát để kiến nghị sử dụng tạm lòng đường, vỉa hè hiệu quả, ngăn lấn chiếm
Phó chủ tịch UBND TP.HCM Bùi Xuân Cường vừa có chỉ đạo các sở ngành liên quan rà soát, tham mưu để TP.HCM có kiến nghị Bộ Xây dựng về việc khai thác sử dụng tạm lòng đường, vỉa hè.
Bắt tạm giam Facebooker chuyên kêu gọi từ thiện Nguyễn Mạnh Tuân
Nguyễn Mạnh Tuân bị khởi tố, bắt tạm giam với cáo buộc dựng vỏ bọc "người làm việc thiện" bằng những lời kêu gọi sẻ chia, những hình ảnh cảm động về các mảnh đời bất hạnh để chiếm đoạt tiền của các nhà hảo tâm.
Cảnh tượng sau khi lũ rút ở Tuyên Quang khiến người dân chết lặng
Sau nhiều ngày mưa lớn, lũ sông Lô đổ về phường Hà Giang 2 vượt mức lịch sử năm 1969. Đến nay, nước đã rút để lại khung cảnh ngổn ngang, đường phố phủ đặc bùn đất và rác thải.
Bí thư Hà Nội sốt ruột vì tiến độ cải tạo chung cư cũ chậm
Chiều 3-10, Bí thư Thành ủy Hà Nội Bùi Thị Minh Hoài cùng các đại biểu Quốc hội đơn vị bầu cử số 4 đã có buổi tiếp xúc cử tri trước kỳ họp thứ 10, Quốc hội khóa XV.
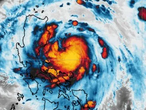
Toàn cảnh bão số 11 Matmo, nhận định tâm điểm đổ bộ đất liền và sức gió mạnh
Bão Matmo đã vào Biển Đông, trở thành cơn bão số 11. Dự báo bão hướng về Quảng Ninh - Hải Phòng với 2 kịch bản. Miền Bắc và Thanh Hóa hứng mưa lớn từ đêm 5-7/10.
Hàng nghìn hộ dân ở Bắc Ninh bị cô lập, Chủ tịch tỉnh đến hiện trường
Nước lũ trên sông Cầu và sông Thương rút chậm, khiến hàng nghìn hộ dân vẫn bị cô lập. Chủ tịch UBND tỉnh Bắc Ninh đã trực tiếp đi kiểm tra, chỉ đạo công tác ứng phó.
Sự thật về người bán nước trúng 8 vé số độc đắc, cúng 5 con heo quay giữa vòng xoay
Thông tin một người bán nước mía ở Tây Ninh trúng 8 vé độc đắc, cúng 5 con heo quay giữa vòng xoay ở Tây Ninh lan truyền rầm rộ. Người phụ nữ trong câu chuyện đã lên tiếng về sự thật và hành động khiến cả vùng xôn xao.
Cầu tạm bị lũ cuốn, hơn 100 người dân thôn Hành liều mình đi bè qua sông
Mưa lũ sau bão số 10 đã cuốn trôi cây cầu tạm dân sinh bắc qua sông Ạc, khiến hơn 100 người dân ở thôn Hành, xã miền núi Xuân Chinh, tỉnh Thanh Hóa bị cô lập, phải qua sông bằng bè mảng.
Vụ 3 người mất tích bí ẩn: Tìm thấy 2 thi thể trong xe ô tô bẹp dúm
Rạng sáng nay (3-10), lực lượng cứu hộ cứu nạn đã tìm thấy 2 thi thể trong chiếc ô tô bẹp dúm do đất đá vùi lấp. Hiện còn một người đang mất tích.